El huracán Matthew, de categoría 3, está por arribar a la Florinda, Estados Unidos. En la ciudad ya se activó la alerta meteorológica, están suspendidas clases y se preparan para su paso.
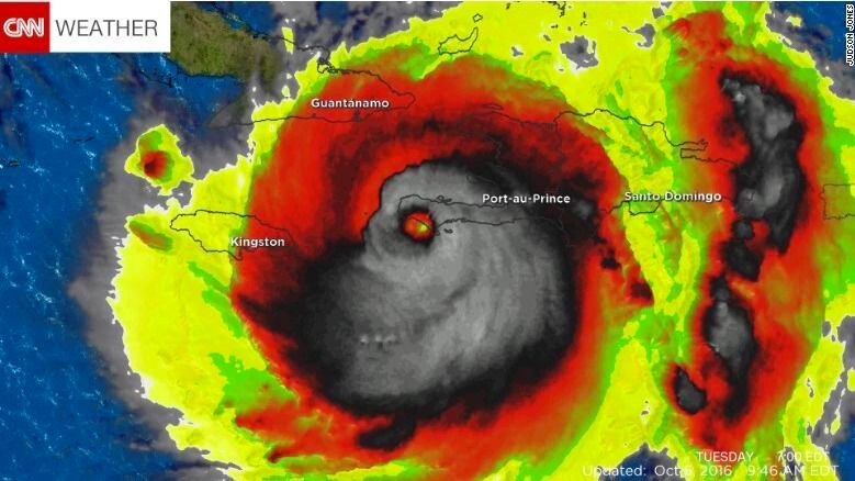
Relacionado con su trayectoria, se publicó una imagen capturada desde un satélite donde se ve una supuesta calavera. La escabrosa foto fue publicada hoy, 5 de octubre del 2016, por el meteorólogo senior del canal Weather Channel, Stu Ostro.
La imagen muestra al huracán Matthew a través de un lente de una cámara infrarroja. Muestra a Matthew en colores apocalípticos que acentúan el ojo del huracán y revelan una especie de dientes que se parecen a los del personaje de Ghost Rider o el Grinch, según sugirieron algunos usuarios de Twitter.
El meteorólogo Judson Jones en entrevista para CNN explicó que «básicamente se ve así porque los científicos usan colores para identificar las zonas más fuertes de la tormenta».

